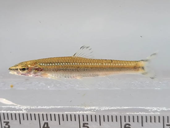
û°èõ »ó·ù¿¡¼ °Ç°ÇÑ ÇÏõ ÁöÇ¥Á¾ÀÎ ½¬¸®ÀÇ Ä¡¾î°¡ ÃÖÃÊ·Î ¹ß°ßµÆ´Ù. ½¬¸®´Â ±ú²ýÇÏ°í »ê¼Ò°¡ dzºÎÇÑ 1~2±Þ¼ö¿¡¸¸ ¼½ÄÀÌ °¡´ÉÇÑ ¾îÁ¾ÀÌ´Ù.
±¹¸³Áß¾Ó°úÇаüÀº 23ÀÏ Ã»°èõ º¹¿ø 20ÁÖ³âÀ» ¸Â¾Æ ¼¿ï½Ã¼³°ø´Ü°ú °øµ¿À¸·Î ´ã¼ö¾î·ù Çмú Á¶»ç¸¦ ½Ç½ÃÇÑ °á°ú û°èõ¿¡¼ ÃÑ 32Á¾ 1ǰÁ¾À» È®ÀÎÇØ º¹¿ø Àü 4Á¾¿¡ ºñÇØ ¾î·ù Á¾¼ö°¡ 8¹è Áõ°¡Çß´Ù°í ¹àÇû´Ù. Á¶»ç´Â »ó·ùÀΠû°è±¤Àå Àα٠¸ðÀü±³¿¡¼ ÇÏ·ùÀÎ Áß¶ûõ ÇÕ·ùºÎ±îÁö 6°³ ÁöÁ¡À» 4¿ùºÎÅÍ 9¿ù±îÁö 3Â÷·Ê ½Ç½ÃÇß´Ù. 20³â °£ µ¿ÀÏÇÑ Á¶»ç ÁöÁ¡À» ¼±ÅÃÇØ ¾î·ù»ó º¯È¸¦ °´°üÀûÀ¸·Î ºñ±³ÇÒ ¼ö ÀÖµµ·Ï ±¸¼ºÇß´Ù.
½¬¸®´Â ´ëÇѹα¹¿¡¼¸¸ ¼½ÄÇÏ´Â Çѱ¹ °íÀ¯Á¾ÀÌ°í ¿Âµµ°¡ Â÷°í ¹°»ìÀÌ ºü¸¥ °÷¿¡ ¼½ÄÇÏ¸ç ¿À¿°¿¡ ¹Î°¨ÇÏ´Ù. ½¬¸® Ä¡¾îÀÇ ¹ß°ßÀº ½¬¸®°¡ »ì ¼ö ÀÖ´Â ¼½Ä ȯ°æÀÎ ¼öÁúÀÌ ±ú²ýÇÏ°í »ê¼Ò°¡ dzºÎÇÑ È¯°æÀÌ Ã»°èõ »ó·ù¿¡¼ ¾ÈÁ¤ÀûÀ¸·Î À¯ÁöµÇ°í ÀÖÀ½À» ¾Ë·ÁÁØ´Ù. û°èõ »ó·ù´Â ½¬¸® Ä¡¾î»Ó¸¸ ¾Æ´Ï¶ó ½¬¸® ¼º¾î, ¹öµéÄ¡, Âü°¥°Ü´Ï µî À¯¼ÓÀÌ ºü¸£°í »ê¼Ò°¡ dzºÎÇÑ È¯°æ¿¡ ÀûÀÀÇÑ ¾îÁ¾ÀÌ ¹ß°ßµÆ´Ù.
¿ÃÇØ °øµ¿Çмú Á¶»ç¸¦ ÅëÇØ ÃÑ 7¸ñ 9°ú 32Á¾ 1ǰÁ¾ 6700¿© °³Ã¼¸¦ È®ÀÎÇß´Ù. À×¾î¸ñÀÌ 23Á¾ 1ǰÁ¾À¸·Î °¡Àå ¸¹¾Ò°í ¸ÁµÏ¾î¸ñÀÌ 4Á¾ÀÌ´Ù. û°èõ ³» °¡Àå ¸¹Àº ¾îÁ¾(¿ìÁ¡Á¾)Àº ¾à 38.1%¸¦ Â÷ÁöÇÑ ÇǶó¹Ì¸ç ±× µÚ¸¦ ÂüºØ¾î(17.2%), ´ë·ú¼Û»ç¸®(12.7%) µîÀÌ Â÷ÁöÇß´Ù.
Çѱ¹°íÀ¯Á¾Àº °¢½ÃºØ¾î, ÁÙ³³ÀÚ·ç, ½¬¸®, ¸ô°³, Âü°¥°Ü´Ï, ¾ó·èµ¿»ç¸® µî 6Á¾, ¿Ü·¡Á¾Àº À̽º¶ó¿¤À×¾î, ±¸ÇÇ, ¹è½º µî 2Á¾ 1ǰÁ¾ÀÌ´Ù. Á¶»ç Áß ¹ß°ßµÈ ±¸ÇÇ 7°³Ã¼´Â ÀÎÀ§Àû ¿µÇâÀ¸·Î À¯±âµÈ °ÍÀ¸·Î ÃßÁ¤µÇ°í »ýÅÂ°è ±³¶õ ¾ß»ý»ý¹°Àº ¹è½º 1°³Ã¼°¡ È®ÀεƴÙ.
û°èõÀº ±¸°£º°·Î ¶Ñ·ÇÇÑ »ýÅÂÀû Ư¼ºÀÌ ³ªÅ¸³µ´Ù. Áß·ù´Â ÂüºØ¾î, ÁÙ¸ô°³, ¸ð·¡¹«Áö µî À¯¼ÓÀÌ ¿Ï¸¸ÇÏ°í µ¹°ú ¸ð·¡ µî ´Ù¾çÇÑ ÇÏ»ó ±¸Á¶¿¡ ÀûÀÀÇÑ Á¾, ÇÏ·ù´Â ´ë·ú¼Û»ç¸®, ³³Áö¸®, ÂüºØ¾î µî À¯¼ÓÀÌ ´À¸®°í ¼öÁú¿¡ ´ëÇÑ ³»¼ºÀÌ ÀÖ´Â Á¾µéÀÌ È®ÀεƴÙ.
±¹¸³Áß¾Ó°úÇаüÀº Á¶»ç ¼º°ú¸¦ ½Ã¹Îµé°ú °øÀ¯Çϱâ À§ÇØ ¼¿ï½Ã¼³°ø´Ü°ú ÇÔ²² û°è¾î·Ï û°èõ ´ã¼ö¾î·ù °øµ¿ Çмú¿¬±¸¼º°ú Ưº°ÀüÀ» ¸¶·ÃÇß´Ù. ½Ã¹Î ´©±¸³ª ½±°Ô ¹Î¹°°í¸®¸¦ û°èõÀ» ÀÌÇØÇÏ°í °úÇÐÀû »ç°í¸¦ »ó»óÇÒ ¼ö ÀÖµµ·Ï ±¸¼ºµÆ´Ù. ´Ù¾çÇÑ ÄÜÅÙÃ÷(û°èõ º¹¿ø 20³â ¿©Á¤À» ´ãÀº AI Ȱ¿ë ¿µ»ó, Çѱ¹ÀÇ ¹Î¹°°í±â ¼¼¹ÐÈ, û°èõ ¹Î¹°°í±â Ž»ç´ë ±â·Ï µî)°¡ ¾î¿ì·¯Á® ½Ã¹ÎµéÀÌ µµ½É »ýÅ ÇÏõÀÇ ¼ÒÁßÇÔÀ» Á÷Á¢ üÇèÇÒ ¼ö ÀÖµµ·Ï ²Ù¸çÁ³´Ù.
ÈÄ¿øÇϱâ













